
Andrea Thompson
Andrea Thompson is an associate editor at Scientific American, where she covers sustainability, energy and the environment. Prior to that, she was a senior writer covering climate science at Climate Central and a reporter and editor at Live Science, where she primarily covered Earth science and the environment. She holds a graduate degree in science health and environmental reporting from New York University, as well as a bachelor of science and and masters of science in atmospheric chemistry from the Georgia Institute of Technology.
Latest articles by Andrea Thompson

Death Valley Named Largest Dark Sky Park
By Andrea Thompson published
Home of the hottest temperature on Earth also gets 'Gold Tier' rating for spectacular night skies.

Endangered Horses Spotted in Valentine's Nuzzle
By Andrea Thompson published
Przewalski's horses are the only true wild horse left on Earth.

Amazing Images: Heart Shapes in Nature
By Andrea Thompson published
Symbol of Valentine's Day seen around the world.

Why Do Our Mouths Water?
By Andrea Thompson published
Extra copies of certain gene may make our mouths water more.

Gorillas to Be Protected with New Congo National Park
By Andrea Thompson published
Park protects large population of critically endangered western lowland gorilla.

Georgia Tornado Signature Revealed in Radar
By Andrea Thompson published
Tornado caused major damage and killed one person.

Lightning Flash from Severe Storms Seen from Space
By Andrea Thompson published
Flash came from storms sweeping across eastern U.S.

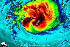
Cyclone's 'Overshooting Cloud Tops' Seen from Above
By Andrea Thompson published
The clouds punch into the stratosphere and indicated strong storms.

Satellite Spies Severe Weather Brewing
By Andrea Thompson published
Storms could bring damaging winds, hail and even tornadoes.

Britain Blanketed by Snow in New Satellite Image
By Andrea Thompson published
A storm from the Atlantic and cold air from Scandinavia combined to create snow conditions.

New Australian National Park Features Unique 'Horizontal Falls'
By Andrea Thompson published
These 'falls' are actually the rushing of the tides.

Antarctic Plane Crash Killed All 3 Aboard, Searchers Confirm
By Andrea Thompson published
Antarctica's fickle weather and remoteness often hamper rescue operations.

Why are Frogs Disappearing?
By Andrea Thompson published
Kermit the Frog is more right now than ever: It's not easy being green.

Night-Sensitive Satellite Spots Elusive Clouds
By Andrea Thompson published
Suomi NPP satellite sees mass of marine layer clouds.

Chilling! Arctic Air Invasion Captured in Animation
By Andrea Thompson published
Frigid air surges back and forth across the US.

NASA Satellite Spies Quick Birth & Death of Tropical Cyclone
By Andrea Thompson published
Tropical Cyclone Oswald was spotted dumping rain on Australia.

When Did April Fool's Day Begin?
By Andrea Thompson published
No one knows when or why the celebration of practical jokes and pranks began.

What's the Most Popular Pet?
By Andrea Thompson published
The answer is less clear than you might have thought.

What's the Deepest Canyon?
By Andrea Thompson published
Are you looking on Earth, or in the vast solar system?

America's Newest National Park Declared
By Andrea Thompson published
America's Newest National Park Declared

What's Smog?
By Andrea Thompson published
Just what is in that brown, hazy layer of air around you?

Tropical Cyclone Spotted Slamming Indian Ocean Islands
By Andrea Thompson published
La Reunion and Mauritius took a beating from the winds and rain.

What is a Dry Thunderstorm?
By Andrea Thompson published
How can you get the lightning without the rain?
Get the world’s most fascinating discoveries delivered straight to your inbox.


